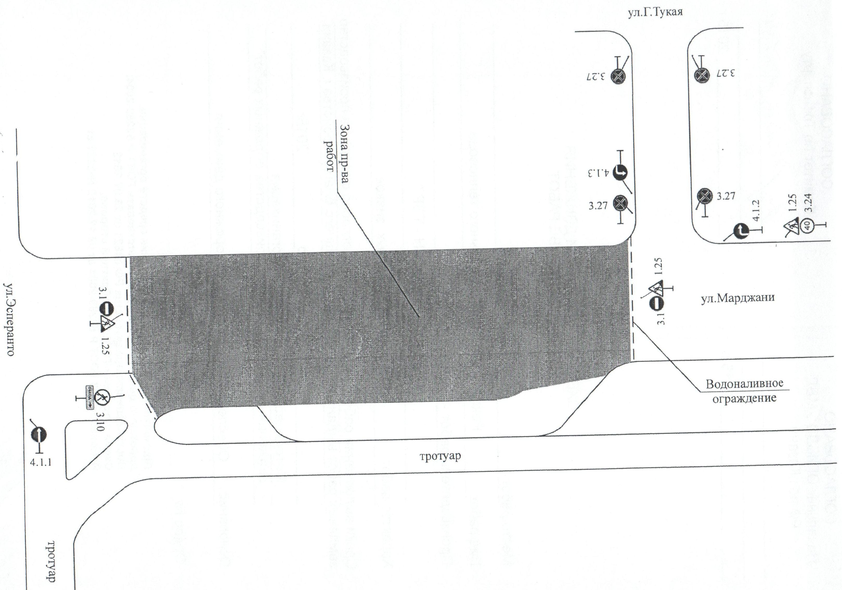
27 майдан алып 18 июньгә кадәр Мәрҗани урамы транспорт хәрәкәте өчен өлешчә ябыла

2015 елның 26 мае, сишәмбе

Казанда 27 майдан алып 18 июньгә кадәр Мәрҗани урамының Эсперанто урамыннан алып Габдулла Тукай урамынының 109 нчы Б номерлы йортына кадәр өлеше транспорт хәрәкәте өчен ябыла.


Монда җылы үткәргечне реконструкцияләү буенча эшләр планлаштырылган.

ЯҢАЛЫКЛАРГА ЯЗЫЛУ
Сайттагы барлык материаллар лицензия буенча тәкъдим ителә:
Creative Commons Attribution 4.0 International