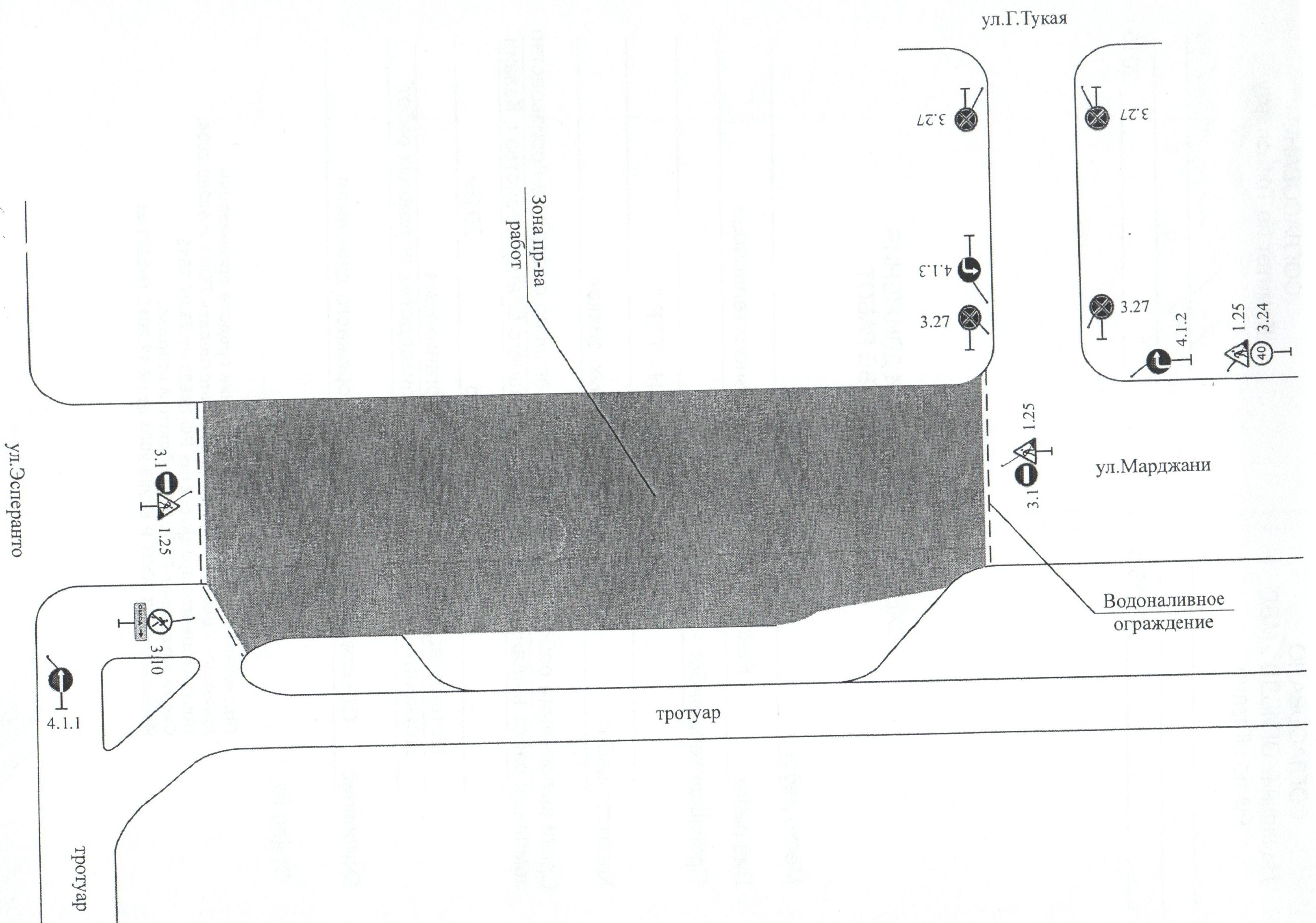
С 27 мая по 18 июня закрывается для движения автотранспорта участок улицы Марджани
26 мая 2015 г., вторник
В Казани с 27 мая по 18 июня полностью закрывается для движения автотранспортапроезжая часть улицы Шигабутдина Марджанина участке от улицы Эсперанто до дома №109Б по улице Габдуллы Тукая.
На этот период здесь запланирована реконструкция тепловода.
С 18 мая 2026 года временно прекращается движение транспорта по автомобильной дороге общего пользования регионального значения Новошешминск – «Шереметьевка – Кармалы» в Нижнекамском муниципальном районе Республики Татарстан.
В рамках XVII Международного экономического форума «Россия – Исламский мир: КазаньФорум» состоялась сессия «Роль антикоррупционной политики в развитии государственного управления и экономики». Организатором выступило Управление Раиса Республики Татарстан по вопросам антикоррупционной политики. В мероприятии принял участие начальник отдела государственной службы и кадров Министерства транспорта и дорожного хозяйства РТ Артур Исламов.
Сегодня министр транспорта и дорожного хозяйства РТ Фарит Ханифов встретился с министром транспорта, автомобильных дорог и городского развития Демократической Социалистической Республики Шри-Ланка Бималом Нирошаном Ратнаяке Виракуном. Встреча прошла в МВЦ «Казань Экспо» на полях «КазаньФорума».
Сегодня на площадке МВЦ «Казань Экспо» в рамках «КазаньФорума» прошла сессия «Цифровой транспорт будущего: интеллектуальные перевозки и автономные технологии». В мероприятии приняли участие статс-секретарь —заместитель министра транспорта РФ Сергей Зверев, министр транспорта и дорожного хозяйства РТ Фарит Ханифов, заместитель председатель правления ГК «Автодор» Виктория Эркенова, генеральный директор компании NATCAR Самат Саттаров, заместитель директора по взаимодействию с органами государственной власти Х5 Роман Захаров и др.
ПОДПИСАТЬСЯ НА НОВОСТИ
Все материалы сайта доступны по лицензии:
Creative Commons Attribution 4.0 International
Обнаружили ошибку?
Выделите слово или предложение и нажмите CTRL+ENTER