From May 27 to June 18 is closed to traffic street section Mardzhani street

26 May 2015, Tuesday

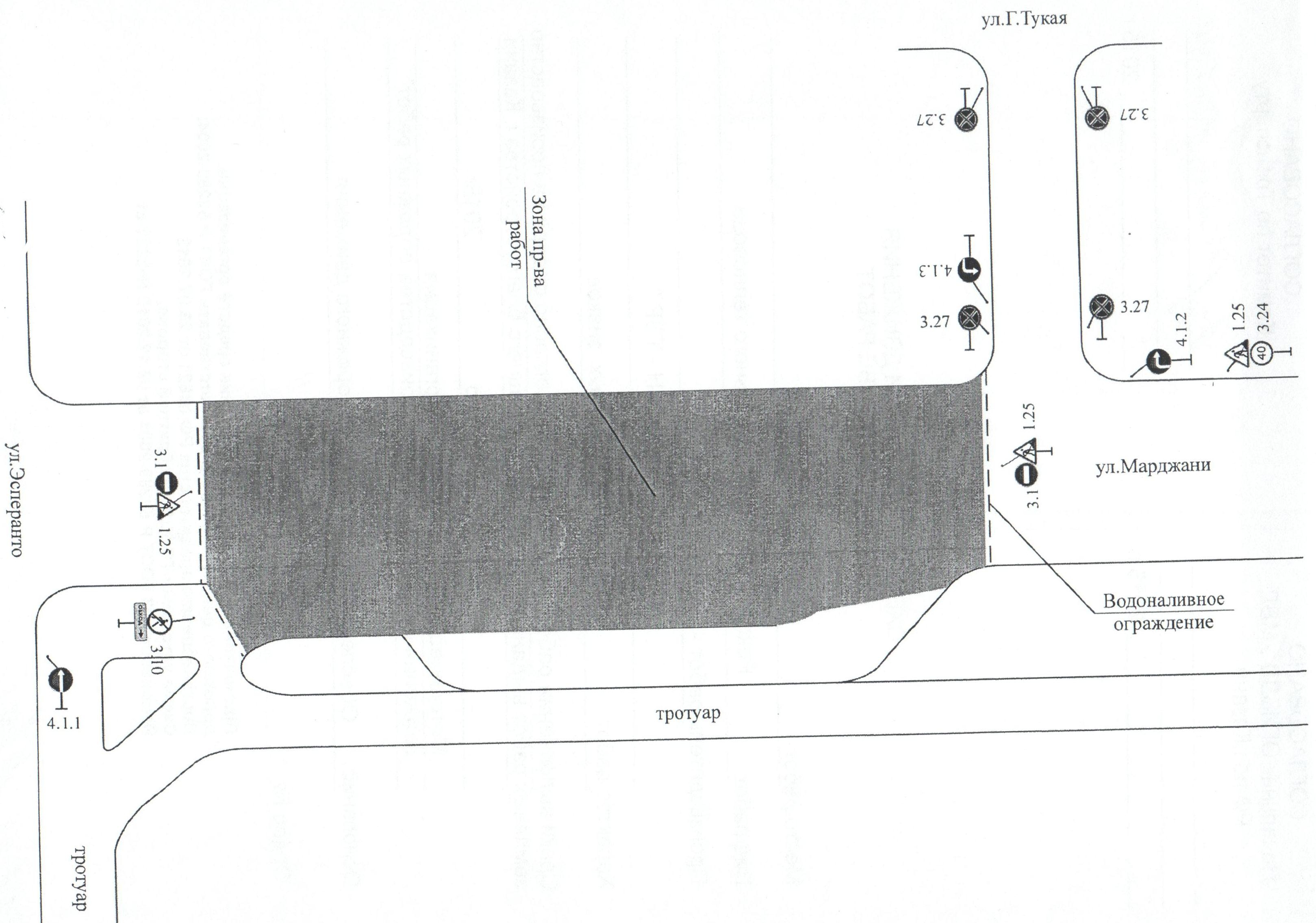
In Kazan, from May 27 to June 18 is completely closed to traffic roadway Shigabutdina Mardzhani street in the area from the Esperanto street to the house №109B Gabdully Tukaya street.

In this period it is planned reconstruction of heat line.

SUBSCRIBE FOR NEWS
All content on this site is licensed under
Creative Commons Attribution 4.0 International