В Казани закрывается движение автотранспорта еще на двух улицах

24 июня 2015 г., среда

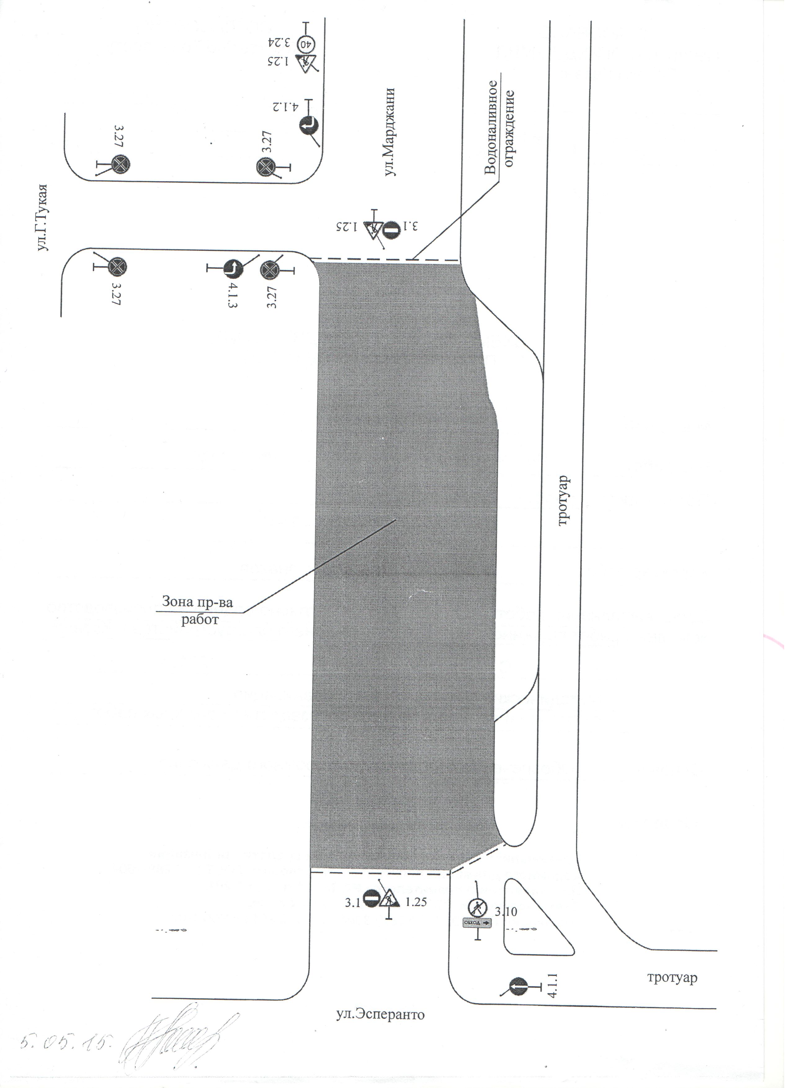
В связи с продолжением работ по реконструкции тепловода в Казани закрываются проезжие части ряда улиц.  С 25 июня по 20 июля - по улице Марджани, на участке от улицы Эсперанто до дома №109Б по улице Тукая. С  22.00 26 июня до 06.00 29 июня будет полностью перекрыт участок улицы Техническая в районе пересечения с улицей Эсперанто.

ПОДПИСАТЬСЯ НА НОВОСТИ
Все материалы сайта доступны по лицензии:
Creative Commons Attribution 4.0 International