In Kazan is closed to vehicular traffic on two streets

24 June 2015, Wednesday

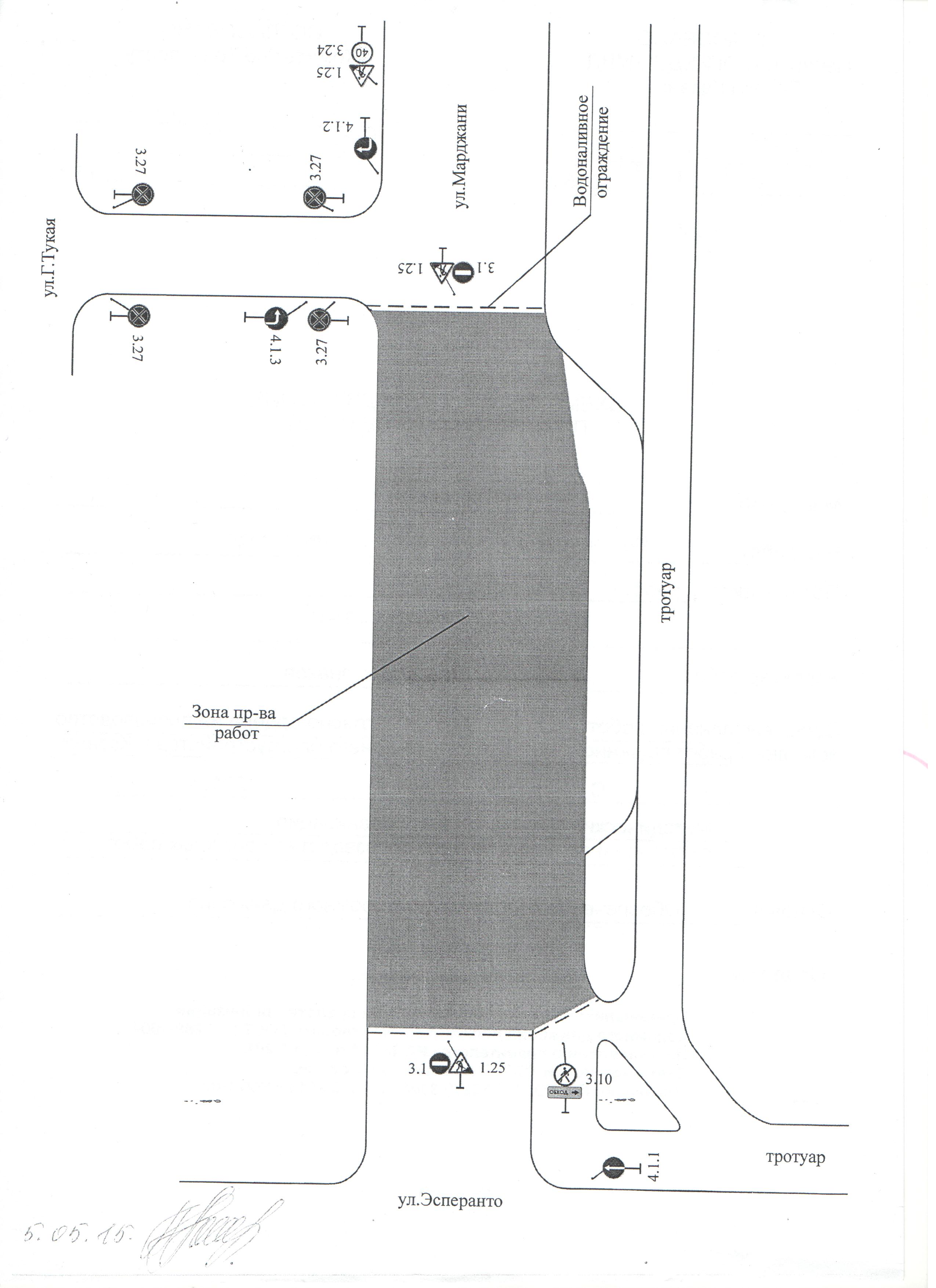
In connection with the continuation of works on reconstruction of heat line in Kazan is closed carriageways of a few streets. From June 25 to July 20 - on the Mardzhani street, in the area from the Esperanto street to the house №109B on the Tukaya street. From 22.00 June 26 to 06.00 on 29 June will be completely closed section of the Tekhnicheskaya street near the junction with Esperanto street.

SUBSCRIBE FOR NEWS
All content on this site is licensed under
Creative Commons Attribution 4.0 International