Рәсми Портал
ТР Рәисе
ТР Дәүләт Советы
ТР Хөкүмәте
Дәүләт хезмәт күрсәтүләре
ТР шәһәрләр һәм районнары
рус
тат
eng
Татарстан Республикасы Транспорт
һәм юл хуҗалыгы министрлыгы
рус
тат
eng
Сорау бирү
Министрлык турында
Максатлар һәм бурычлар
Министрлык җитәкчелеге
Министрлык структурасы
Ведомство буйсынуындагы учреждениеләр
Профсоюз комитеты
Иҗтимагый совет
Министрлык коллегияләре
Министрлык тарихы
Эшчәнлек
Элемтәләр
Юл-транспорт комплексы
Файдалы мәгълүмат
Өстенлекле проектлар
Кадрлар сәясәте
Коррупциягә каршы тору
Министрлыкның дәүләт хезмәтләре
Юл хәрәкәте иминлеге
Дәүләт контроле (күзәтчелеге)
«Имин сыйфатлы юллар» илкүләм проекты
Ачык конкурс үткәрмичә маршрут һәм маршрут карталары буенча таныклык бирү турында тәкъдимнәр
Cоциаль эшмәкәрлеккә һәм социаль юнәлешле коммерциячел булмаган оешмаларга ярдәм
Ситуацион үзәк
Цифрлы трансформация
Монополиягә каршы комплаенс
Коронавирус
Документлар
Татарстан Республикасы Конституциясе
Норматив документлар
Җайлау йогынтысын бәяләү
Административ регламентлар проектларына бәйсез экспертиза
Шәхси мәгълүматларны яклау
Матбугат хезмәте
Фоторепортажлар
Видеорепортажлар
Яңалыклар тасмасы
Мөрәҗәгатьләр һәм гражданнарны кабул итү
Интернет кабул итү бүлмәсе
Министрлык җитәкчелегенең гражданнарны шәхси кабул итү графигы
Белешмә мәгълүмат
Законнар
Халык мөрәҗәгатьләрен карау турында хисап
Түләүсез юридик ярдәм
Татарстан Республикасы Министрлыклары
Татарстан Республикасы Транспорт һәм юл хуҗалыгы министрлыгы
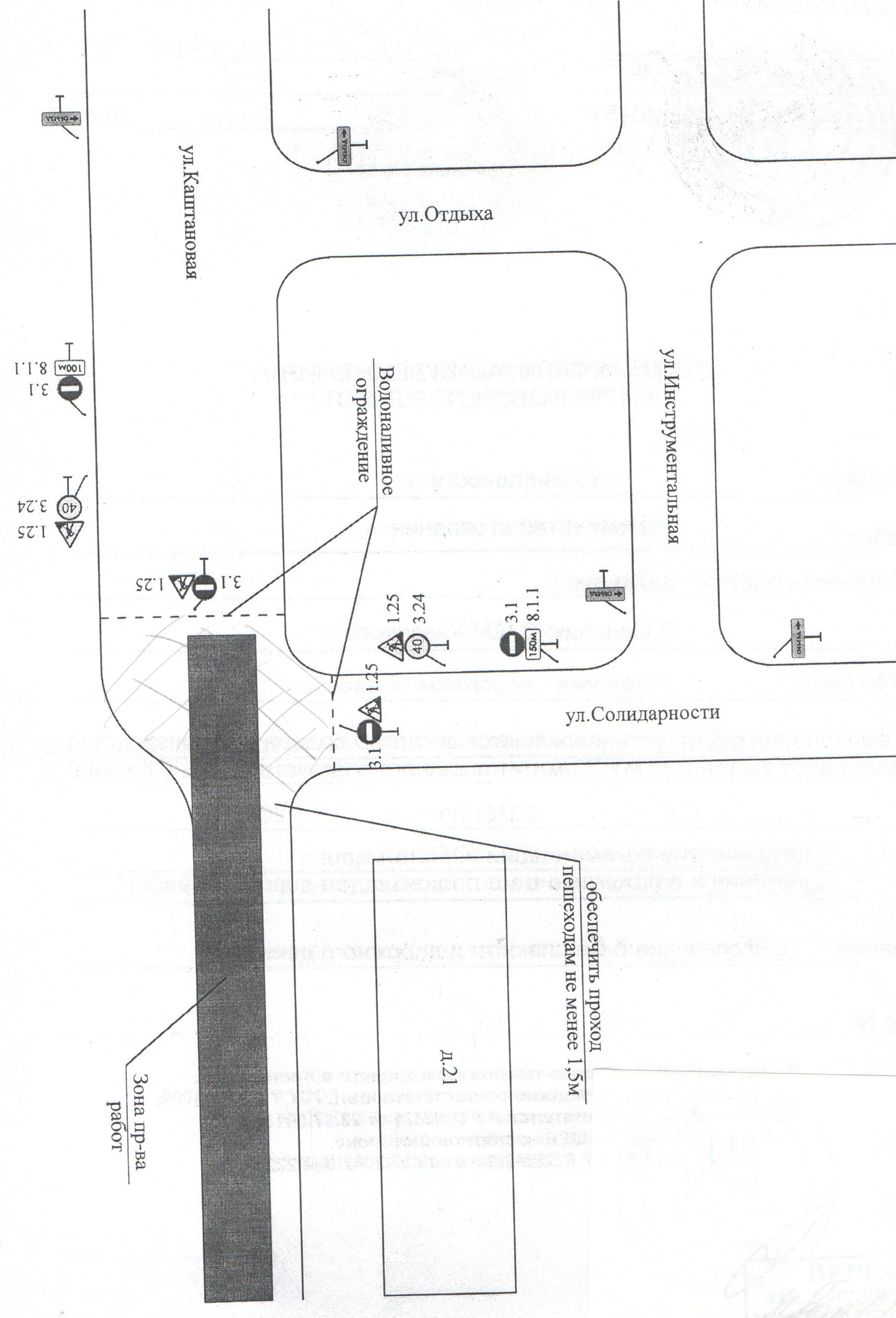
Казанда 22-25 майда Каштан урамы транспорт хәрәкәте өчен өлешчә ябыла
2015 елның 21 мае, пәнҗешәмбе
Казанда 22 нче майның 22.00 сәгатьтеннән алып 25 нче майның 6.00 сәгатенә кадәр
Каштан урамындагы юл
Солидарность урамы белән кисешкән урында автотранспорт хәрәкәте өчен ябылачак.
Әлеге участокта җылылык үткәрү челтәрләренә капиталь ремонт башкарылачак.
Министрлыкның матбугат хезмәте.
Бүлешү:
БАРЛЫК ЯҢАЛЫКЛАРНЫ УКУ
СОҢГЫ ЯҢАЛЫКЛАР
31
октябрь, 2025 ел
Халыклар бердәмлеге көнен бәйрәм итүгә бәйле рәвештә шәһәр яны поездларының хәрәкәт графигы үзгәрәчәк
1 ноябрьдән 4 ноябрьгә кадәр 07.10 сәгатьтә 6385 нче Казан-Йошкар-Ола поезды билгеләнә. 31 октябрьдә поезд расписаниедән чыгарыла.
30
октябрь, 2025 ел
Бүген Мөслим районында ремонттан соң күпер ачу тантанасы булды
Татарстан Республикасы Мөслим муниципаль районында «Тормыш өчен инфраструктура» илкүләм проекты буенча «Актаныш – Мөслим» автомобиль юлының 87+334 км участогында Ык елгасы аша күпер ремонтланды.
Казан тимер юлчылары машина йөртүчеләргә кичү юлларын кисешү кагыйдәләрен искә төшерделәр
Горький тимер юлы хезмәткәрләре ЮХИДИ вәкилләре белән берлектәТатарстан Республикасында "Игътибар, күченү!" профилактик акциясен уздырдылар.
29
октябрь, 2025 ел
Татарстанның Нурлат районында илкүләм проект буенча автомобиль юлы ремонтланган
«Тормыш өчен инфраструктура» илкүләм проекты кысаларында Татарстан Республикасы Нурлат муниципаль районында 0,690 км озынлыкта Нурлат – Түбән Нурлат – Дала Мамыгы автомобиль юлының 5,2 – 5,9 км участогы ремонтланды.
ЯҢАЛЫКЛАРГА ЯЗЫЛУ
Сайттагы барлык материаллар лицензия буенча тәкъдим ителә:
Creative Commons Attribution 4.0 International
Хата таптыгызмы?
Сүзне яки җөмләне билгеләгез һәм CTRL+ENTER басыгыз