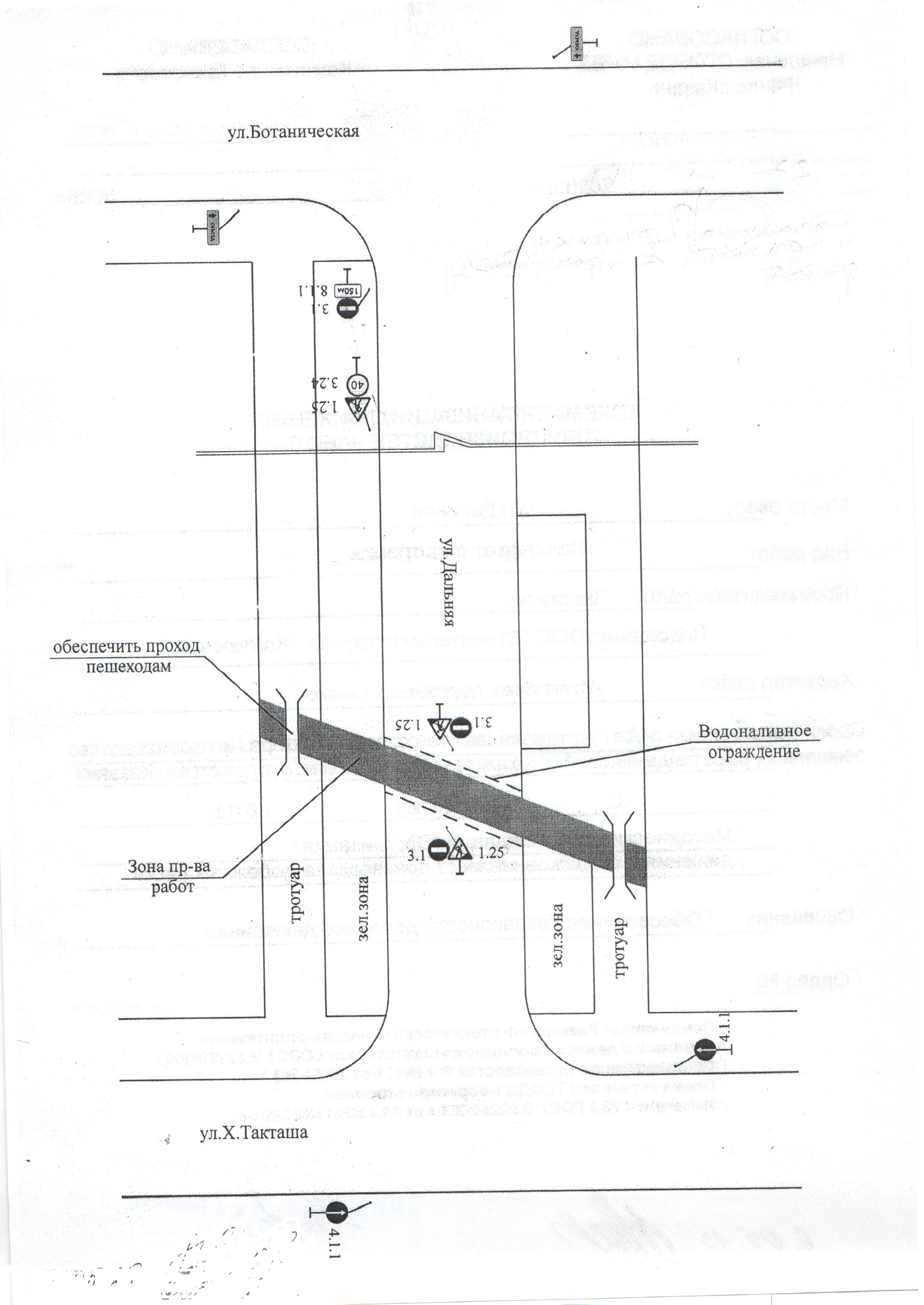
С 13 по 14 июня закрывается для движения автотранспорта участок улицы Дальняя

5 июня 2015 г., пятница

В Казани с13 по 14 июня полностью закрывается для движения автотранспорта  проезжая часть улицы Дальняя в районе дома №115 по улице Хади Такташа.

На этот период здесь запланирована реконструкция тепловода.

ПОДПИСАТЬСЯ НА НОВОСТИ
Все материалы сайта доступны по лицензии:
Creative Commons Attribution 4.0 International