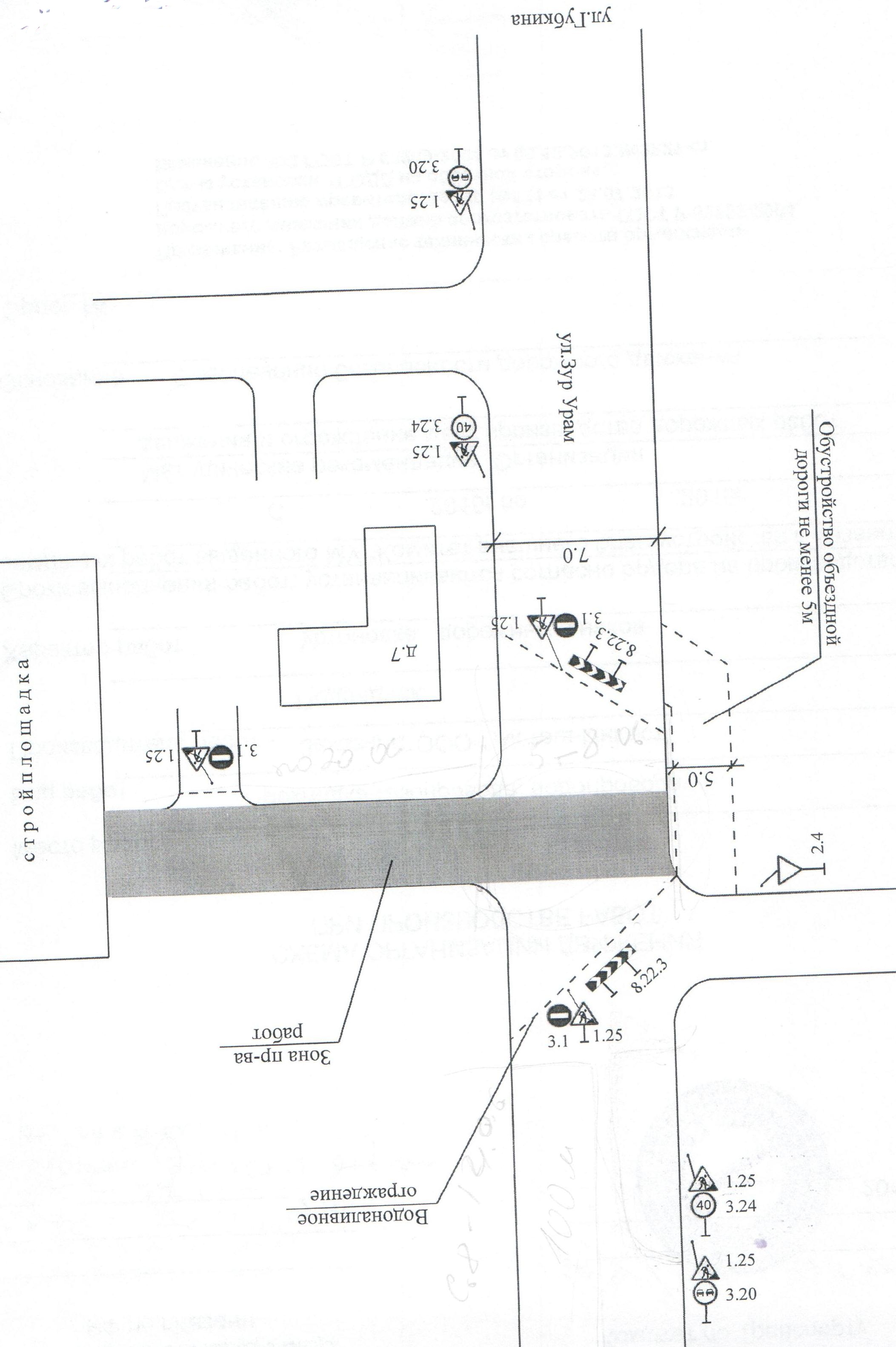
In Kazan from 5 to 8 June is closed to traffic section of the Zur Uram street

4 June 2015, Thursday

In Kazan from 5 to 8 June is completely closed to traffic roadway of the Zur Uram street near the building №7.

In this period it is planned laying of water, gas.

SUBSCRIBE FOR NEWS
All content on this site is licensed under
Creative Commons Attribution 4.0 International